Wenn der Bürgermeister einen Baum pflanzen „muss“
10. Oktober 2025
Bekanntmachung der Genehmigung der Flächennutzungsplanteiländerung im Bereich des Bebauungsplanes „Solarpark Dirminger Straße“ in der Gemeinde Tholey
24. Oktober 2025

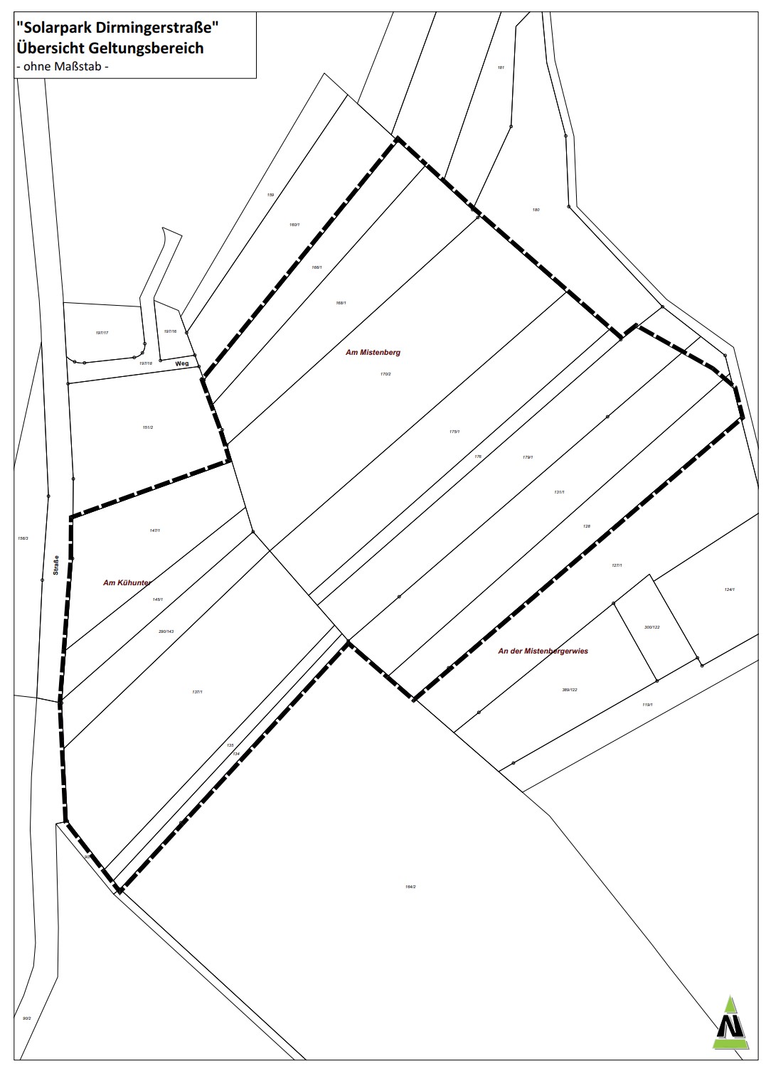
Bekanntmachung des Satzungsbeschlusses zum Bebauungsplan „Solarpark Dirminger Straße“ mit paralleler Flächennutzungsplanteiländerung in der Gemeinde Tholey

Der Gemeinderat der Gemeinde Tholey hat mit Beschluss vom 28.05.2025 den Bebauungsplan „Solarpark Dirminger Straße“ als Satzung beschlossen.

Dieser Beschluss wird hiermit gemäß § 10 Abs. 3 des Baugesetzbuchs (BauGB) in der derzeit gültigen Fassung ortsüblich bekannt gemacht. Mit dieser Bekanntmachung tritt der Bebauungsplan in Kraft.

Jedermann kann den Bebauungsplan, bestehend aus Plan und Begründung, bei der Gemeinde Tholey, während der allgemeinen Dienststunden (Mo.-Fr. 08:00 – 12:00 Uhr; Mo., Di., Do. 13:30 – 16:00 Uhr; Mi. 13:30 – 18:00 Uhr) im Besprechungsraum des Fachbereichs Bauen, Wohnen, Umwelt im Rathaus der Gemeinde Tholey einsehen und über dessen Inhalt Auskunft verlangen.

Auf die Voraussetzungen für die Geltendmachung der Verletzung von Verfahrens- und Formvorschriften und von Mängeln der Abwägung sowie die Rechtsfolgen des § 215 Abs. 1 BauGB wird hingewiesen.

Unbeachtlich werden demnach

  1. eine nach § 214 Abs. 1 Satz 1 Nr. 1 bis 3 BauGB beachtliche Verletzung der dort bezeichneten Verfahrens- und Formvorschriften
  2. eine unter Berücksichtigung des § 214 Abs. 2 BauGB beachtliche Verletzung der Vorschriften über das Verhältnis des Bebauungsplans und des Flächennutzungsplans und
  3. nach § 214 Abs. 3 Satz 2 BauGB beachtliche Mängel des Abwägungsvorgangs,

wenn sie nicht innerhalb eines Jahres seit Bekanntmachung der Satzung schriftlich gegenüber der Gemeinde unter Darlegung des die Verletzung begründeten Sachverhalts geltend gemacht worden sind. Satz 1 gilt entsprechend, wenn Fehler nach § 214 Abs. 2a beachtlich sind.

Außerdem wird auf die Vorschriften des § 44 Abs. 3 Satz 1 und 2 sowie Abs. 4 BauGB hingewiesen. Danach erlöschen Entschädigungsansprüche für nach den §§ 39 bis 42 BauGB eingetretene Vermögensnachteile, wenn nicht innerhalb von 3 Jahren nach Ablauf des Kalenderjahres, in dem die Vermögensnachteile eingetreten sind, die Fälligkeit des Anspruches herbeigeführt wird.

Hingewiesen wird weiterhin auf § 12 Abs. 6 KSVG. Hiernach gelten Satzungen, die unter Verletzung von Verfahrens- oder Formvorschriften des KSVG oder auf Grund des KSVG zustande gekommen sind, ein Jahr nach der öffentlichen Bekanntmachung als von Anfang an gültig zustande gekommen. Dies gilt nicht, wenn

  1. die Vorschriften über die Genehmigung oder die öffentliche Bekanntmachung der Satzung verletzt worden sind,
  2. vor Ablauf der in Satz 1 genannten Frist die Bürgermeisterin oder der Bürgermeister dem Beschluss widersprochen oder die Kommunalaufsichtsbehörde den Beschluss beanstandet hat oder der Verfahrens- oder Formmangel gegenüber der Stadt unter Bezeichnung der Tatsache, die den Mangel ergibt, schriftlich gerügt worden ist.

Die genauen Grenzen des Geltungsbereiches des Bebauungsplanes sind dem nachstehend wiedergegebenen Lageplan zu entnehmen.

Tholey, 24.10.2025

Andreas Maldener

Bürgermeister